U.S. Department of Transportation
Federal Highway Administration
1200 New Jersey Avenue, SE
Washington, DC 20590
202-366-4000


Skip to content U.S. Department of Transportation/Federal Highway AdministrationU.S. Department of Transportation/Federal Highway Administration

Bridges & Structures

 

Archived: Interstate Technical Group on Abandoned Underground Mines
Fourth Biennial Abandoned Underground Mine Workshop

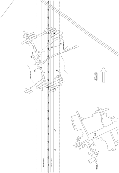
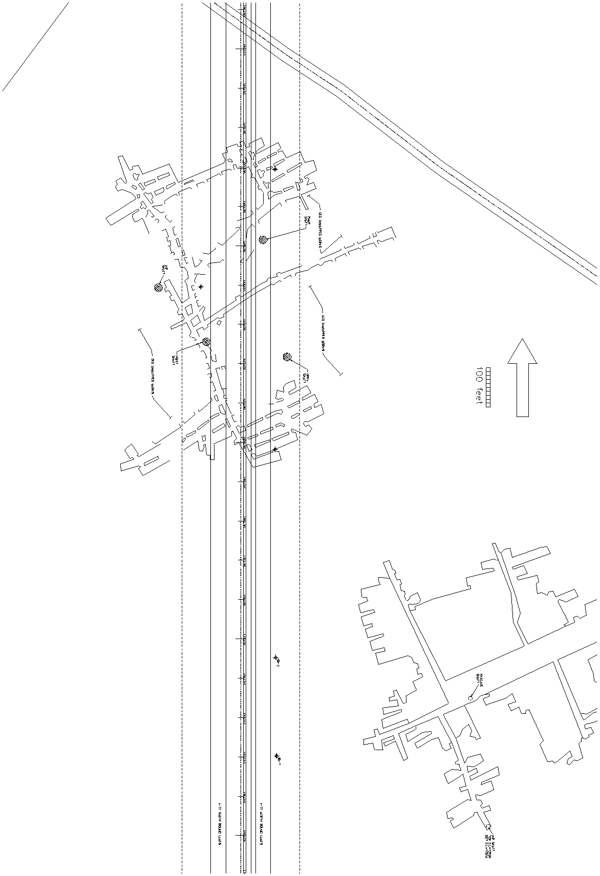
Real Time Monitoring of Subsidence Along Interstate I-77, Summit County, Ohio: Figure 3

Paper


Mine map.  Click for larger version
Figure 3. Mine map. (Click for larger version)

Forum Home

Updated: 02/12/2018
Federal Highway Administration | 1200 New Jersey Avenue, SE | Washington, DC 20590 | 202-366-4000